Sajid Javid wird neuer britischer Innenminister
Nach dem Skandal um karibische Einwanderer hat Amber Rudd ihr Amt als Innenministerin aufgegeben – eine Schlappe für Premierministerin May. Nun steht der Nachfolger Rudds fest.
Nach dem Skandal um karibische Einwanderer hat Amber Rudd ihr Amt als Innenministerin aufgegeben – eine Schlappe für Premierministerin May. Nun steht der Nachfolger Rudds fest.
Das Spielzeugschiff zweier Brüder aus Schottland ist vor rund einem Jahr in See gestochen – und nun in der Karibik angekommen. Die Reise verlief nicht ohne Hindernisse.
„Kick ’em Jenny“ ist der aktivste submarine Vulkan der Karibik. Trotzdem wird ihm kaum Beachtung geschenkt. Ist bald mit einem größeren Ausbruch zu rechen?
Fünfzig Jahre Tourismus auf Mustique: Die kleine Insel mit nur sechs Quadratkilometer gilt als exklusivstes Refugium der Karibik. Was ist ihr Geheimnis?
Joachim Wenning ist seit einem Jahr Chef des weltgrößten Rückversicherers. Im F.A.S.-Interview spricht der Munich-Re-Chef über die Kosten des Klimawandels, die Furcht vor Cyberattacken – und warum es gegen unglückliche Ehen keine Versicherung gibt.
In Mittelamerika hat die Gewalt gegen Frauen epidemische Ausmaße erreicht. In vielen Fällen gebe es Verbindungen zum organisierten Verbrechen, heißt es in einem UN-Bericht.
Die Bundesregierung fördert Marktlösungen, um extreme Wetterereignisse abzusichern. Welche Summen sind im Spiel und kann das überhaupt funktionieren?
Wo früher Piraten waren, stößt man heute auf besonders viele Steuerflüchtlinge. Aber ob ein englischer Rennfahrer mit Hilfe der Isle of Man Steuern auf seinen Privatjet vermeidet, kann den Deutschen eigentlich egal sein.
„Maria“ zieht weiter eine Spur der Verwüstung durch die Karibik. Für die amerikanische Insel Puerto Rico hat Donald Trump den Katastrophenzustand ausgerufen. Die meisten Toten gab es aber in einem winzigen Inselstaat.
Noch sind die Menschen in der Karibik mit den Aufräumarbeiten nach Rekord-Sturm „Irma“ beschäftigt, da pflügt schon der nächste Hurrikan durch das Urlaubsparadies. Die kleine Insel Dominica wird hart getroffen, in Puerto Rico rechnen die Menschen mit dem Schlimmsten.
Kurz nach dem Hurrikan Irma zieht ein neuer Sturm auf die Karibik zu. Auf der französischen Insel Guadeloupe wurde die zweithöchste Warnstufe ausgelöst.
Emmanuel Macron besucht die verwüsteten Karibikinseln und kündigt eine der größten Luftbrücken seit Ende des Zweiten Weltkrieges an. Spätestens seit er aufgebrochen war, ließ sich auch die Reise des britischen Außenministers nicht mehr aufschieben.
Nach Kritik an den Hilfsmaßnahmen der Londoner Regierung kündigt Großbritanniens Außenminister Boris Johnson an, in die verwüstete Karibik zu reisen. Einige Gegenden wurden von „Irma“ dort so schwer zerstört, dass sie jetzt als unbewohnbar gelten.
„So etwas habe ich noch nie gesehen“: Der niederländische König Willem-Alexander hat die von „Irma“ verwüstete Karibikinsel Sint Maarten besucht. Auch der britischen Milliardär Richard Branson will beim Wiederaufbau helfen – nicht nur auf seiner Privatinsel.
„Irma“ ist zum tropischen Sturm herabgestuft worden. Trotzdem richten sich bange Blicke an die Ostküste Floridas und die weiter nördlich gelegenen Küsten der Staaten Georgia und South Carolina. Auf Kuba ist die Zerstörung immens.
In Florida sind mehr als sechs Millionen Menschen auf der Flucht vor „Irma“. Der Sturm gilt als extrem gefährlich. Und der nächste ist bereits im Anmarsch. Nun hat auch die Bundesregierung Notfallnummern geschaltet.
Neben Versicherern stehen auch die Titel von großen Kreuzfahrt-Gesellschaften unter Druck. Eine Branche profitiert aber weiterhin von den schweren Zerstörungen.
Normalerweise verliert ein tropischer Wirbelsturm schnell an Kraft, wenn er Land erreicht. „Irma“ ist aber viel zu groß, als dass ihn die kleinen Inseln, die er gerade verwüstet, deutlich abschwächen könnten. Was passiert, wenn er auf Florida trifft?
„Irma“ setzt ihren zerstörerischen Weg durch die Karibik fort. Während das Ausmaß der Schäden auf vielen Inseln noch immer unklar ist, wappnet sich das Festland. Schon jetzt sind Hunderttausende betroffen.
Nachdem der Rekordsturm „Irma“ mehrere Karibikinseln verwüstet hat, zieht der Hurrikan nun über die Dominikanische Republik und Haiti in Richtung Florida. Die Amerikaner sind alarmiert und erwarten das Schlimmste.
Der Rekordsturm „Irma“ hat die Karibikinsel Barbuda schwer verwüstet. Heute könnte er auf die Dominikanische Republik und Haiti treffen, Teile Floridas werden bereits evakuiert. Unterdessen steigt die Zahl der Todesopfer. „Es ist herzzerreißend“, sagt der Regierungschef von Barbuda.
Der Hurrikan „Irma“ sorgt in der Karibik für enorme Zerstörung. Ein Flug mit einem Helikopter über Saint-Martin zeigt das Ausmaß der Verwüstung.
Der Hurrikan „Irma“ schlägt weiter seine Schneise der Zerstörung – die ersten Todesopfer sind zu beklagen. Nun ist der Hurrikan auf Puerto Rico angekommen. Die Menschen dort haben sich auf das Schlimmste vorbereitet.
Das Zentrum „Irmas“ verwüstet die zu Frankreich und den Niederlanden gehörenden Inseln Saint-Barthélémy und Saint-Martin. Videos von Anwohnern zeigen das Ausmaß der Katastrophe.
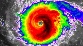
„Irma“ ist schon jetzt historisch: Der bisher stärkste Hurrikan, der sich jenseits des Golfs und der Karibik über dem Atlantik bildete. Wie konnte es dazu kommen? Eine Vorahnung gab es schon vor Wochen.
Mit Windgeschwindigkeiten von bis zu 280 Kilometern pro Stunde zieht ein Tropensturm auf die Karibik zu. Die Inselbewohner bereiten sich auf das Schlimmste vor.
Curaçao war der Hauptumschlagplatz für Sklaven in der Karibik. Doch diese Vergangenheit interessiert heute kaum noch jemanden. Stattdessen beschäftigt man sich lieber mit Farbfragen und sonnenverbrannten Holländern.
Die MS Hamburg macht gern den Winter zum Sommer. An karibischen Stränden und auf dem Amazonas kann man Weihnachten getrost hinter sich lassen.
Nimm, was du kriegen kannst, und gib nichts zurück: Die Piraten von „Pirates of the Caribbean 5: Salazars Rache“ nehmen Kurs auf Platz eins und überholen dabei den Vorwochensieger „Alien: Covenant“.
In Schleswig-Holstein entscheiden die Grünen heute über ein bislang einmaliges Bündnis mit CDU und FDP. Alle schauen jetzt auf Minister Robert Habeck, den Bob Marley der Partei.
Wie fühlt sich eine typische Karibikkreuzfahrt an? Schön. Aber laut! Sieben Tage auf der „Norwegian Getaway“
Der karibische Dichter Derek Walcott ist tot. Er galt als Mittler zwischen karibischem Lebensgefühl und westlicher Kulturtradition und hatte 1992 den Literaturnobelpreis erhalten.
Der deutsche Klimaschutzplan wurde nach zähem Ringen doch noch fertig. Ein Kohleausstieg steht nicht drin. Genau den wollen jetzt 45 arme Länder aus Afrika, Asien und der Karibik angehen.
Eine Insel verliert ihr Wahrzeichen: Der letzte Jumbojet landet auf St. Maarten. Mit dabei sind Fans aus aller Welt – und unwissende Touristen, die eine böse Überraschung erleben.
Auf seinem Weg durch die Karibik hat Hurrikan „Matthew“ eine Spur der Verwüstung hinterlassen. Vor allem in Haiti ist die Zahl der Todesopfer immens. In Florida hat der Wirbelsturm sogar den Weltraumbahnhof Cape Canaveral beschädigt.
Zum ersten Mal seit 1947 tritt die amerikanischen Fußballelf zu einem Freundschaftsspiel in Havanna an. Trainer Klinsmann spürt die historische Bedeutung, die den sportlichen Wert der Partie übersteigt.